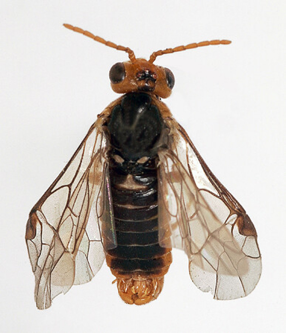
Яблуневий плодовий пильщик

Назва латиницею
Hоplocampa testudinea
Культури
плодові культури
Ряд
перетинчастокрилі (Hymenoptera)
Родина
справжні пильщики (Tenthredinidae)
Інформація

Поширення

Трапляється повсюдно, особливо численний у Лісостепу та Поліссі.

Шкідливість

Пошкоджує плоди яблуні. Плоди, міновані личинками молодших віків, зазвичай не обпадають, а зарубцьовуються і розростаються разом з плодом. Пошкодження плодів личинками старших віків відрізняються відкритими вхідними отворами і витоком іржавої рідини, супроводжуються неприємним "клопиним" запахом. В роки масового розмноження спостерігається значне зниження врожаю.

Зовнішній вигляд

  • Імаго: 6 – 7 мм, темнобурий зверху, жовтий знизу, чорне черевце, жовті ноги, короткі вусики.
  • Яйце: 0,7 мм, овальне, білуватосклисте.
  • Личинка: 12 – 13 мм, жовтуватобіла, з червонобурою головою.
  • Лялечка: 7 – 8 мм, біла, в щільному сірому коконі.

Розвиток

  • Зимівля: Личинки зимують у коконах в ґрунті на глибині 5 – 20 см.
  • Весняний розвиток: Заляльковування починається при прогріванні ґрунту до 12 °С. Розвиток лялечки триває 12 – 16 діб.Льот імаго: Збігається з фенофазою
  • розпушування бутонів літніх сортів яблуні. Самки відкладають яйця в надрізи квіток, плодючість 50 – 80 яєць.
  • Личинки: Прогризають міни від чашечки до плодоніжки, проникають усередину зав’язі, живляться насінням, руйнують насінну камеру.
  • Заляльковування личинок: Після закінчення живлення, вони переходять у ґрунт на глибину розпушеного шару для коконування. Генерація однорічна.

Заходи захисту

  • Культивація ґрунту: Перед завершенням живлення личинок рекомендується культивація з метою розпушування шару ґрунту на глибину 9 – 11 см для зменшення популяції шкідника.
  • Інсектицидне обприскування: Проводиться в період масового льоту пильщика, зазвичай у фенофазу розпушування бутонів яблуні. Наприлад препарат Дитан М-45, та інші з додаванням корегувальних добавок.
Інформаційне повідомлення
Посилання скопійоване в буфер обміну
(5)
(5)